Visit City of Buellton, California Homepage
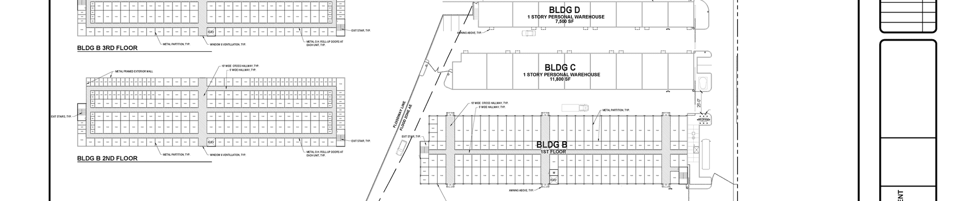
Floor plans of proposed Self-Storage building, 33 Industrial Way in Buellton, CA

New Self-Storage Facility at 33 Industrial Way

The City of Buellton Planning Department has recieved an application from Central Holding Group, LLC to develop 33 Industrial Way into a Self-Storage facility. The project would consist of a Final Development Plan, Minor Use Permit, and Tentative Parcel Map.

From the applicant:

The project is proposed to be developed with a 148,595 square foot self-storage facility. The facility includes five structures including a 2,455 square foot Managers Building, 53,340 square foot three-story self-storage building (Building A), 73,500 square foot three-story self-storage building (Building B), 11,800 square foot one-story self-storage condominium building (Building C), and a 7,500 square foot one-story self-storage condominium building (Building D). The managers building is proposed to be located at the northeast corner of the property with Building A south of it along the easterly property line. Buildings B through D are located sequentially east to west from Building A.

Map of Buellton showing location of the Industrial Way Self-Storage project

Stay Informed

Get notified on upcoming engagements and the latest project related news.

Important Dates

11
Jul 2025

Application Received

The project was formally submitted to the City

7
Aug 2025

Preliminary Review - Planning Commission

The project will go before the Buellton Planning Commission for preliminary review. Commissioners will have an opportunity to ask questions about the project and provide comments. No votes on the project will take place.

View the Meeting Agenda Materials