Visit Renfrew County, ON Homepage
47T25003 - BEI-Wren Subdivision - Phases 3 and 4

BEI-Wren Subdivision (47T25003)

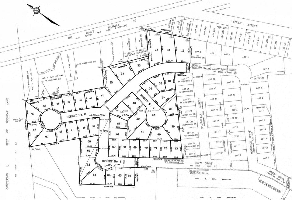
The proposed plan of subdivision proposes a total of forty-six (46) single detached residential lots to complete Phases 3 and 4 of the BEI-Wren subdivision. The 46 proposed single detached lots will front on extensions of Morrison Drive and Wren Drive, and on a new street culminating in a cul-de-sac. No blocks are being provided for parkland. Storm water management will be managed on adjacent Township-owned lands.

This plan was previously draft approved by the County of Renfrew (County of Renfrew File No. 47T93005) however, the draft approval lapsed in 2024. A link to the lapsed draft approval conditions can be found, below.

To support the new application, the following documents have been submitted: Planning Cover Letter, Site Servicing Report, Geotechnical Investigation, Response to Groundwater Comments and Wren Subdivision Phases 3 & 4 Design-Plans Package. Links to these documents are found below. The information is being reviewed by the County of Renfrew and the Township of Whitewater Region.

The property is currently designated in the Official Plan and zoned to permit residential development, subject to the lifting of a holding zone. The file number for this plan of subdivision is 47T25003.

Concept Plan

Stay Informed

Get notified on upcoming engagements and the latest project related news.

Steps in processing a plan of subdivision application

1) Review of application to determine completeness

.

2) Circulate and provide notice of the application

August 6, 2025

3) Resolve any issues/concerns

.
Follow Us