Visit Renfrew County, ON Homepage
47T24005 - Campbell Lands

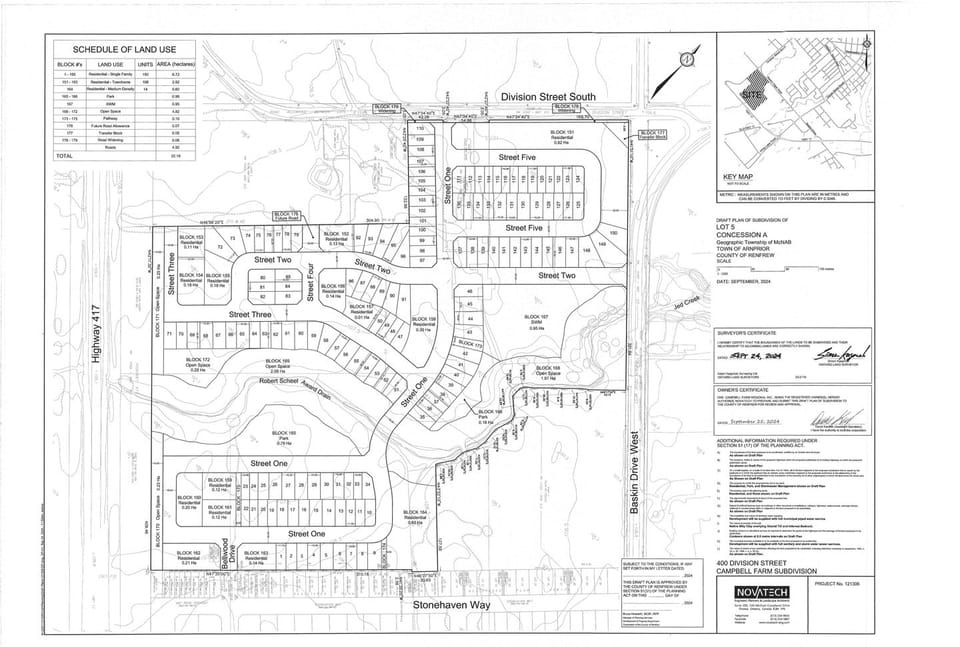
Campbell Lands Subdivision (47T24005)

The proposed plan of subdivision proposes a total of two hundred and seventy-two (272 units) consisting of one-hundred and fifty (150) single detached residential lots and thirteen (13) blocks to accommodate one hundred and twenty-two (122) multiple attached dwellings. The dwellings will front on new internal municipal roads with connections provided to Division Street, Baskin Drive West (County Road 10) and through Bellwood Drive to Stonehaven Way. The development also proposes blocks for open space, parkland and storm water management.

To support the application, the following studies have been submitted, Planning Rationale, Archaeological Assessments, Environmental Impact Study, Environmental Site Assessments, Preliminary Geotechnical Investigation, Noise Study Brief, Serviceability and Conceptual Stormwater Management Report, Slope Stability Assessment and Transportation Impact Study.

The property is currently designated in the Official Plan to permit residentail development. A concurrent zoning by-law amendment has been submitted to the Town of Arnprior to permit the proposed uses.

Proposed Draft Plan of Subdivison

Stay Informed

Get notified on upcoming engagements and the latest project related news.

Steps in processing a plan of subdivision application

1) Review of application to determine completeness

.

2) Circulate and provide notice of the application

.

3) Resolve any issues / concerns

.
Follow Us