Visit Renfrew County, ON Homepage
47T24003 - James W. Lapointe Motor Holdings Inc.

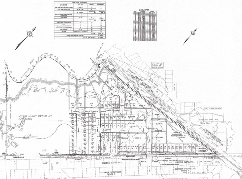
James W. Lapointe Motor Holdings Inc. - Elgin Street Subdivision

The proposed plan of subdivision will have 211 residential units consisting of 73 single detached lots, 10 estate residential lots, 44 townhouse units and 84 apartment units that will front on six (6) new municipal roads, three (3) of which will connect to Elgin Street. Blocks are being provided for road widening, parkland, stormwater management, and servicing and access.

To support the application, the following studies have been submitted: Planning Justification Report, Stage 1 and 2 Archaeological Resource Assessment, Environmental Impact Assessment, Phase 1 and 2 Environmental Site Assessments, Functional Servicing Report and Stormwater Management Plan, Geotechnical Investigation, Slope Stability Assessment, and a Transportation Impact Study Report. The information is being review in conjunction by the County of Renfrew, the Township of Laurentian Valley, and the City of Pembroke.

The property is currently designated in the Official Plan and Zoned to permit residential development, subject to the lifting of a holding designation. The file number for this plan of subdivision is 47T24003.

Concept Plan

Stay Informed

Get notified on upcoming engagements and the latest project related news.

Steps in processing a plan of subdivision application

1) Review of application to determine completeness

2) Circulate and provide notice of the application

3) Resolve any issues/concerns

Follow Us