Visit Renfrew County, ON Homepage
Location Map of Proposed Plan of Subdivision

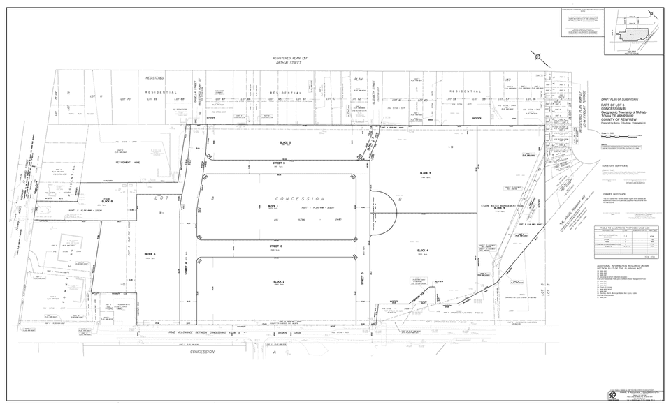
St. John - Baskin Subdivision (47T25002)

The plan of subdivision is proposing 1,068 apartment units across six (6) blocks for apartment buildings. These blocks will be built along new internal streets, two of which connect to Baskin Drive East and Isabella Street. The proposed development also includes blocks for parkland, stormwater management, and a right-of-way.

To support the application, the following studies have been submitted:

  • Planning Rationale
  • Archaeological Assessments
  • Functional Servicing Report
  • Environmental Impact Study and Tree Inventory
  • Environmental Site Assessments
  • Geotechnical Investigation
  • Traffic Impact Study
  • Topographical survey and conceptual drawings

Most of the property is designated in the Official Plan for residentail development, with a portion designated for environmental protection along an unnamed watercourse. An Official Plan amendment has been proposed to move the environmentally designated lands to the new proposed location of the watercourse. A zoning by-law amendment has also been proposed been to permit the proposed uses.

Proposed Draft Plan of Subdivision

Stay Informed

Get notified on upcoming engagements and the latest project related news.

Steps in processing a plan of subdivision application

1) Review of application to determine completeness

2) Circulate and provide notice of the application

3) Resolve any issues / concerns

Contact Us

Follow Us