Visit Renfrew County, ON Homepage
Westhaven Gate

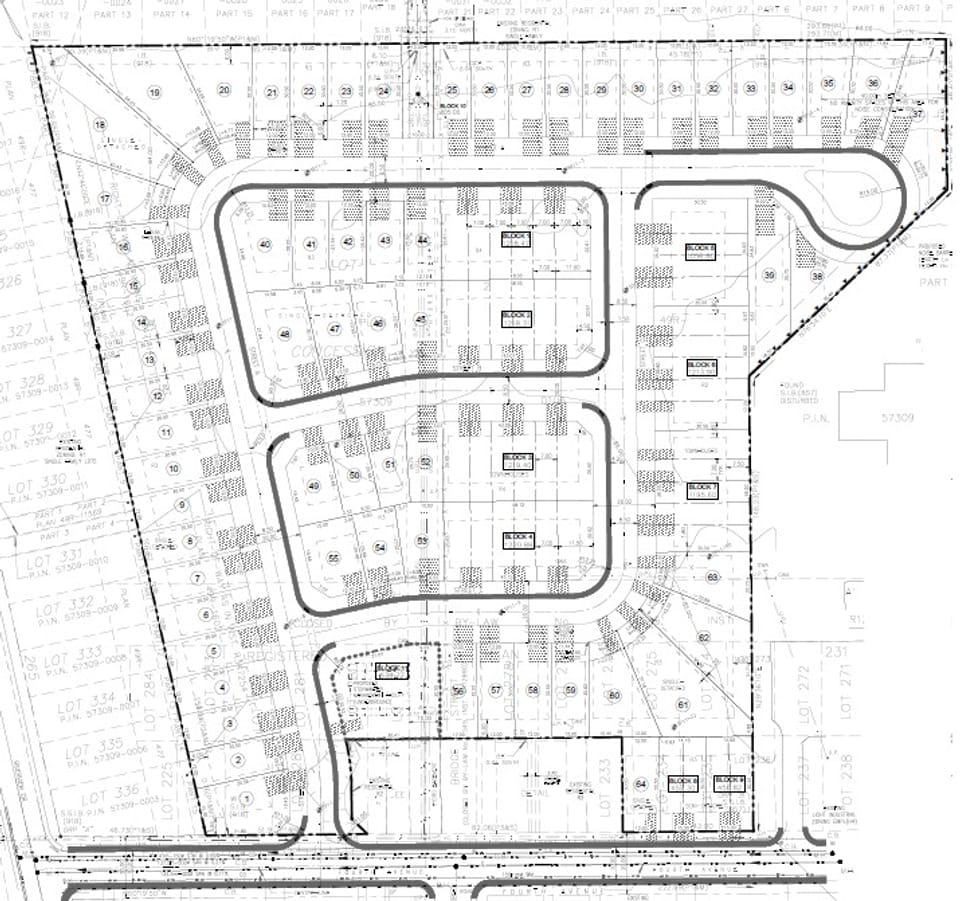
Westhaven Gate (47T21004)

The original subdivision application was submitted to the County of Renfrew in January 2022, for the creation of a 115-unit plan of subdivision for the property located at 124 4th Avenue. The new proposed lots are for residential purposes.

Based on a review of the original submission, the applicant has submitted a revised plan that replaces the apartment block, which was to accommodate a 22-unit apartment building, with 13 single residential lots. The proposed change results in an overall decrease of 9 residential units for the development, from 115 to 106.

To support the application, the following studies have been submitted: Planning Justification Report, Environmental Impact Study, Environmental Site Assessment, Geotechnical Report, Noise Impact Study and Serviceability Report.

Only the draft plan has been revised. The application form and studies still reflect the original submission.

Draft Plan

Stay Informed

Get notified on upcoming engagements and the latest project related news.

Steps in processing a plan of subdivision application

1) Review of application to determine completeness

2) Circulate and provide notice of the application

3) Resolve any issues / concerns

Follow Us